


+7รหัสทรัพย์ ENSMVL0105001
สอบถามข้อมูลเพิ่มเติม นัดดูทรัพย์ >> 🤗ทิ้งชื่อ เบอร์ติดต่อ ในแชท ให้เจ้าหน้าที่ขายติดต่อกลับได้เลยค่ะ🤗(บริษัทเปิดให้บริการติดต่อ วันจันทร์-ศุกร์ เวลา 9.00-17.00 ยกเว้นวันหยุดนักขัตฤกษ์)
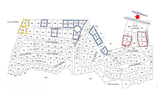
ที่ดินเปล่าจัดสรร มี 18 แปลง (แปลงเลขที่ 12) เนื้อที่แปลงละประมาณ 300-500 ตารางวา โครงการห่างจากถนนธนะรัชต์ประมาณ 1.1 กม. สภาพภายในโครงการมีบ้านพักตากอากาศ และที่ดินเปล่า ถนนภายในเป็นถนนหินคลุกบดอัด 8 เมตร ระบบสาธารณูปโภคต่าง ๆ เข้าถึง ไฟฟ้าเดินสายใต้ดิน ทำเลที่ตั้งเหมาะสำหรับเป็นรีสอร์ท บ้านพักตากอากาศ
(*ผู้สนใจควรตรวจสอบรายละเอียดและประเด็นที่เกี่ยวข้องก่อนตัดสินใจซื้อ) ถนนบ้านใหม่สามัคคี แยกจากถนนธนะรัชต์ (ทล.2090)
บริษัทขอสงวนสิทธิ์ในการเปลี่ยนแปลงรายละเอียดทรัพย์สิน ราคาตั้งขาย รวมถึงเงื่อนไขอื่นใด หรือยกเลิกการ ขายทรัพย์สินได้โดยไม่ต้องแจ้งให้ผู้สนใจเสนอซื้อทราบล่วงหน้า ภาพและรายละเอียดอาจมีการเปลี่ยนแปลงตามสภาพทรัพย์ในปัจจุบัน
https://www.google.com/maps/search/?api=1&query=14.556023,101.393361