


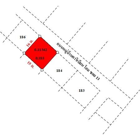
+4ที่ดินเป็นรูปสี่เหลี่ยมผืนผ้า ขนาดแปลงที่ดินด้านทิศเหนือติดถนน กว้างประมาณ 15 ม. ลึกประมาณ 16 ม.บสส.รับโอนกรรมสิทธิ์สิ่งปลูกสร้าง ระบุเป็น บ้านพักอาศัยตึก 2 ชั้น เลขที่ 1110/14ถนนผ่านหน้าทรัพย์สิน ได้แก่ ถนนซอยภายในโครงการฯ เป็นทางในโครงการจัดสรรที่ได้รับอนุญาตแล้ว ผิวจราจรคอนกรีต กว้างประมาณ 6 ม. เขตทางกว้างประมาณ 8 ม.