



รหัสลูกค้า : PA0861
ขายที่ดิน 10 ไร่ 76 ตร.วา ซอยวัดพระเงิน บางกรวย นนทบุรี ทำเลดี ติดคลอง
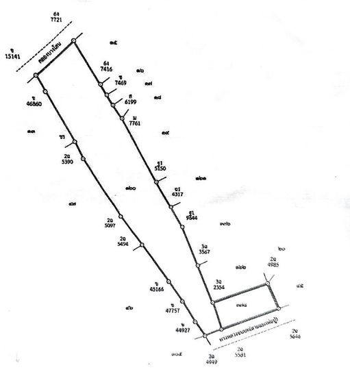
ที่ตั้ง : ซอยวัดพระเงิน ตำบลศาลากลาง อำเภอบางกรวย จังหวัดนนทบุรี 11130
แผนที่ : https://maps.app.goo.gl/EMxTdhYx1fiWEfgY8
ขนาดพื้นที่ : 10 ไร่ 76 ตารางวา
รายละเอียด :
- แปลงสวย ทำเลดี
- ติดถนน Maim หน้ากว้าง 21 เมตร
- ตรงข้าม หมู่บ้านชวนชื่น
- ด้านหลังติดคลอง สามารถสัญจรทางน้ำได้ตามปกติ
- บรรยากาศดี เงียบสงบ เป็นส่วนตัว
- เหมาะสำหรับทำหมู่บ้านจัดสรร โครงการที่อยู่อาศัย โกดัง รีสอร์ท หรือเก็งกำไรระยะยาว
- ทำเลกำลังเติบโต ใกล้แหล่งชุมชน โรงเรียน ตลาด และเส้นทางหลัก
- เอกสารสิทธิ์ถูกต้อง พร้อมโอน
สถานที่ใกล้เคียง :
- ตลาดฟู้ดดี้ฟาร์ม บางใหญ่
- ไทวัสดุ บางใหญ่
- โรงพยาบาลบางใหญ่
- สำนักงานเทศบาลเมืองบ้านบางม่วง
ราคาขาย : 118,360,000 บาท (ต่อรองได้)
สนใจติดต่อ
คุณนฤมล : กดเพื่อดูเบอร์โทร xxxxxx222
(เจ้าของขายเอง ยินดีให้ข้อมูลและพาชมพื้นที่)