


+9āļĢāļŦāļąāļŠāļāļĢāļąāļāļĒāđ 10NSMVL0009000
āļŠāļāļāļāļēāļĄāļāđāļāļĄāļđāļĨāđāļāļīāđāļĄāđāļāļīāļĄ āļāļąāļāļāļđāļāļĢāļąāļāļĒāđ >> ðĪāļāļīāđāļāļāļ·āđāļ āđāļāļāļĢāđāļāļīāļāļāđāļ āđāļāđāļāļ āđāļŦāđāđāļāđāļēāļŦāļāđāļēāļāļĩāđāļāļēāļĒāļāļīāļāļāđāļāļāļĨāļąāļāđāļāđāđāļĨāļĒāļāđāļ°ðĪ(āļāļĢāļīāļĐāļąāļāđāļāļīāļāđāļŦāđāļāļĢāļīāļāļēāļĢāļāļīāļāļāđāļ āļ§āļąāļāļāļąāļāļāļĢāđ-āļĻāļļāļāļĢāđ āđāļ§āļĨāļē 9.00-17.00 āļĒāļāđāļ§āđāļāļ§āļąāļāļŦāļĒāļļāļāļāļąāļāļāļąāļāļĪāļāļĐāđ)
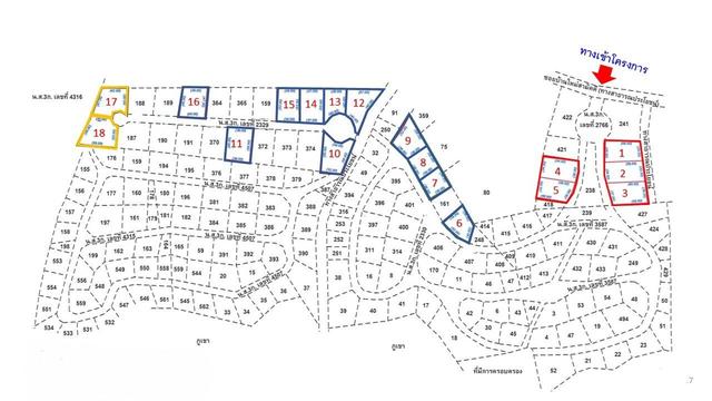
āļāļĩāđāļāļīāļāđāļāļĨāđāļēāļāļąāļāļŠāļĢāļĢ āļĄāļĩ 18 āđāļāļĨāļ (āđāļāļĨāļāđāļĨāļāļāļĩāđ 12) āđāļāļ·āđāļāļāļĩāđāđāļāļĨāļāļĨāļ°āļāļĢāļ°āļĄāļēāļ 300-500 āļāļēāļĢāļēāļāļ§āļē āđāļāļĢāļāļāļēāļĢāļŦāđāļēāļāļāļēāļāļāļāļāļāļāļ°āļĢāļąāļāļāđāļāļĢāļ°āļĄāļēāļ 1.1 āļāļĄ. āļŠāļ āļēāļāļ āļēāļĒāđāļāđāļāļĢāļāļāļēāļĢāļĄāļĩāļāđāļēāļāļāļąāļāļāļēāļāļāļēāļāļēāļĻ āđāļĨāļ°āļāļĩāđāļāļīāļāđāļāļĨāđāļē āļāļāļāļ āļēāļĒāđāļāđāļāđāļāļāļāļāļŦāļīāļāļāļĨāļļāļāļāļāļāļąāļ 8 āđāļĄāļāļĢ āļĢāļ°āļāļāļŠāļēāļāļēāļĢāļāļđāļāđāļ āļāļāđāļēāļ āđ āđāļāđāļēāļāļķāļ āđāļāļāđāļēāđāļāļīāļāļŠāļēāļĒāđāļāđāļāļīāļ āļāļģāđāļĨāļāļĩāđāļāļąāđāļāđāļŦāļĄāļēāļ°āļŠāļģāļŦāļĢāļąāļāđāļāđāļāļĢāļĩāļŠāļāļĢāđāļ āļāđāļēāļāļāļąāļāļāļēāļāļāļēāļāļēāļĻ
(*āļāļđāđāļŠāļāđāļāļāļ§āļĢāļāļĢāļ§āļāļŠāļāļāļĢāļēāļĒāļĨāļ°āđāļāļĩāļĒāļāđāļĨāļ°āļāļĢāļ°āđāļāđāļāļāļĩāđāđāļāļĩāđāļĒāļ§āļāđāļāļāļāđāļāļāļāļąāļāļŠāļīāļāđāļāļāļ·āđāļ) āļāļāļāļāđāļēāļāđāļŦāļĄāđāļŠāļēāļĄāļąāļāļāļĩ āđāļĒāļāļāļēāļāļāļāļāļāļāļ°āļĢāļąāļāļāđ (āļāļĨ.2090)
āļāļĢāļīāļĐāļąāļāļāļāļŠāļāļ§āļāļŠāļīāļāļāļīāđāđāļāļāļēāļĢāđāļāļĨāļĩāđāļĒāļāđāļāļĨāļāļĢāļēāļĒāļĨāļ°āđāļāļĩāļĒāļāļāļĢāļąāļāļĒāđāļŠāļīāļ āļĢāļēāļāļēāļāļąāđāļāļāļēāļĒ āļĢāļ§āļĄāļāļķāļāđāļāļ·āđāļāļāđāļāļāļ·āđāļāđāļ āļŦāļĢāļ·āļāļĒāļāđāļĨāļīāļāļāļēāļĢ āļāļēāļĒāļāļĢāļąāļāļĒāđāļŠāļīāļāđāļāđāđāļāļĒāđāļĄāđāļāđāļāļāđāļāđāļāđāļŦāđāļāļđāđāļŠāļāđāļāđāļŠāļāļāļāļ·āđāļāļāļĢāļēāļāļĨāđāļ§āļāļŦāļāđāļē āļ āļēāļāđāļĨāļ°āļĢāļēāļĒāļĨāļ°āđāļāļĩāļĒāļāļāļēāļāļĄāļĩāļāļēāļĢāđāļāļĨāļĩāđāļĒāļāđāļāļĨāļāļāļēāļĄāļŠāļ āļēāļāļāļĢāļąāļāļĒāđāđāļāļāļąāļāļāļļāļāļąāļ
https://www.google.com/maps/search/?api=1&query=14.555957,101.391641