


+3āļĢāļŦāļąāļŠāļāļĢāļąāļāļĒāđ ïž DALPOVL0220001
āļŠāļāļāļāļēāļĄāļāđāļāļĄāļđāļĨāđāļāļīāđāļĄāđāļāļīāļĄ āļāļąāļāļāļđāļāļĢāļąāļāļĒāđ >> ðāļāļīāđāļāļāļ·āđāļ āđāļāļāļĢāđāļāļīāļāļāđāļ āđāļāđāļāļ āđāļŦāđāđāļāđāļēāļŦāļāđāļēāļāļĩāđāļāļēāļĒāļāļīāļāļāđāļāļāļĨāļąāļāđāļāđāđāļĨāļĒāļāđāļ°ð (āļāļĢāļīāļĐāļąāļāđāļāļīāļāđāļŦāđāļāļĢāļīāļāļēāļĢāļāļīāļāļāđāļ āļ§āļąāļāļāļąāļāļāļĢāđ-āļĻāļļāļāļĢāđ āđāļ§āļĨāļē 9.00-17.00 āļĒāļāđāļ§āđāļāļ§āļąāļāļŦāļĒāļļāļāļāļąāļāļāļąāļāļĪāļāļĐāđ)
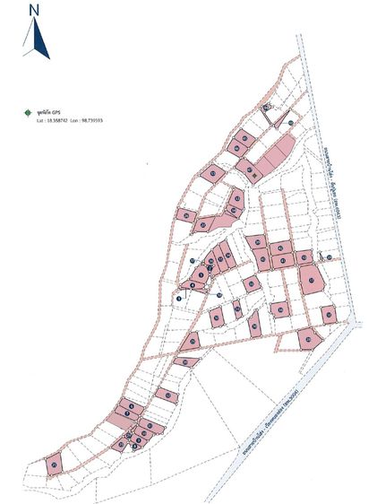
āđāļāļĢāļāļāļēāļĢāļŠāļ§āļāđāļāļĐāļāļĢāļāļĢāļąāļāļĒāđāļŠāļąāļāļāļāļ (āļāļĩāđāļāļīāļāđāļāļĨāđāļē) āļāļĩāđāļāļīāļāđāļāļĨāđāļēāļāļąāļāļŠāļĢāļĢāđāļāđāļāļĢāļāļāļēāļĢ âāļŠāļ§āļāđāļāļĐāļāļĢāļāļĢāļąāļāļĒāđāļŠāļąāļāļāļāļâāļāļīāļāļāļāļāļāđāļēāļāđāļŪāđāļ-āļŦāļāļāļāļāļĨāļēāļŠāļ§āļēāļĒ āļŦāđāļēāļāļāļēāļāļāļāļāļĨāļģāļāļđāļ-āļĨāļĩāđ (āļāļĨ.106) 10 āļāļĄ. āļāļēāļĢāļāļĄāļāļēāļāļĄāļŠāļ°āļāļ§āļ āđāļŦāļĄāļēāļ°āļŠāļģāļŦāļĢāļąāļāļāļģāđāļāļĐāļāļĢāļāļĢāļĢāļĄ āđāļāļĢāļāļāļēāļĢāļŠāļ§āļāđāļāļĐāļāļĢāļāļĢāļąāļāļĒāđāļŠāļąāļāļāļāļ āļāļąāđāļāļāļĒāļđāđāļāļīāļāļāļāļāļŠāļēāļĒāļāđāļēāļāđāļŪāđāļ-āđāļ§āļĩāļĒāļāļŦāļāļāļāļĨāđāļāļ(āļĨāļ.3004) āļ.āļĻāļĢāļĩāđāļāļĩāđāļĒ āļ.āļāđāļēāļāđāļŪāđāļ āļ.āļĨāļģāļāļđāļ
āļāļĢāļīāļĐāļąāļāļāļāļŠāļāļ§āļāļŠāļīāļāļāļīāđāđāļāļāļēāļĢāđāļāļĨāļĩāđāļĒāļāđāļāļĨāļāļĢāļēāļĒāļĨāļ°āđāļāļĩāļĒāļāļāļĢāļąāļāļĒāđāļŠāļīāļ āļĢāļēāļāļēāļāļąāđāļāļāļēāļĒ āļĢāļ§āļĄāļāļķāļāđāļāļ·āđāļāļāđāļāļāļ·āđāļāđāļ āļŦāļĢāļ·āļāļĒāļāđāļĨāļīāļāļāļēāļĢ āļāļēāļĒāļāļĢāļąāļāļĒāđāļŠāļīāļāđāļāđāđāļāļĒāđāļĄāđāļāđāļāļāđāļāđāļāđāļŦāđāļāļđāđāļŠāļāđāļāđāļŠāļāļāļāļ·āđāļāļāļĢāļēāļāļĨāđāļ§āļāļŦāļāđāļē
https://www.google.com/maps/search/?api=1&query=18.354675,98.737086