


āļĢāļŦāļąāļŠāļāļĢāļąāļāļĒāđ ïž HSPBVL0117001
āļŠāļāļāļāļēāļĄāļāđāļāļĄāļđāļĨāđāļāļīāđāļĄāđāļāļīāļĄ āļāļąāļāļāļđāļāļĢāļąāļāļĒāđ >> ðāļāļīāđāļāļāļ·āđāļ āđāļāļāļĢāđāļāļīāļāļāđāļ āđāļāđāļāļ āđāļŦāđāđāļāđāļēāļŦāļāđāļēāļāļĩāđāļāļēāļĒāļāļīāļāļāđāļāļāļĨāļąāļāđāļāđāđāļĨāļĒāļāđāļ°ð (āļāļĢāļīāļĐāļąāļāđāļāļīāļāđāļŦāđāļāļĢāļīāļāļēāļĢāļāļīāļāļāđāļ āļ§āļąāļāļāļąāļāļāļĢāđ-āļĻāļļāļāļĢāđ āđāļ§āļĨāļē 9.00-17.00 āļĒāļāđāļ§āđāļāļ§āļąāļāļŦāļĒāļļāļāļāļąāļāļāļąāļāļĪāļāļĐāđ)
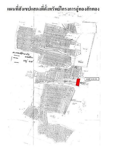
āļŠāļąāļāļāļāļ āļāļĩāđāļāļīāļ āļ.āļŠ.3 āļ. āđāļĨāļāļāļĩāđ 6447,6448 āļ.āļāļĢāđāļāđāļŠāļēāļĄāļāļąāļ āļ.āļāļđāđāļāļāļ āļ.āļŠāļļāļāļĢāļĢāļāļāļļāļĢāļĩ āđāļāļ·āđāļāļāļĩāđ 4-0-00 āđāļĢāđ āļāļąāđāļāļāļĒāļđāđāđāļāđāļāļĢāļāļāļēāļĢāļāļđāđāļāļāļāļŠāļąāļāļāļāļ āđāļĒāļāļāļēāļāļāļāļāļŠāļēāļĒāļāļđāđāļāļāļ - āļāļĨāļļāļāđāļŦāļāļ·āļ āļāļĢāļāļāļĢāļīāđāļ§āļāļŠāļĩāđāđāļĒāļāļāđāļēāļāļŦāđāļ§āļĒāļŦāļīāļ āļŦāļĨāļąāļ āļāļĄ.8 āļāļĩāđāļāļīāļāđāļāđāļāļāļĩāđāļĢāļēāļāđāļāļīāļāđāļāļē āļĨāļąāļāļĐāļāļ°āđāļāđāļāļāļīāļāļāļāļāļĢāļēāļĒ āļāļĨāļđāļāļāļ·āļāđāļĄāđāļāđāļāļĒāļāļēāļĄ āļāļąāļāļāļļāļāļąāļāļŠāļ āļēāļāļāļĨāđāļāļĒāļāļīāđāļāļĢāđāļēāļāđāļĄāđāļĄāļĩāļāļēāļĢāļāļģāļāļĢāļ°āđāļĒāļāļāđ āđāļĄāđāļĄāļĩāļŠāļēāļāļēāļĢāļāļđāļāđāļ āļ
āļāļĢāļīāļĐāļąāļāļāļāļŠāļāļ§āļāļŠāļīāļāļāļīāđāđāļāļāļēāļĢāđāļāļĨāļĩāđāļĒāļāđāļāļĨāļāļĢāļēāļĒāļĨāļ°āđāļāļĩāļĒāļāļāļĢāļąāļāļĒāđāļŠāļīāļ āļĢāļēāļāļēāļāļąāđāļāļāļēāļĒ āļĢāļ§āļĄāļāļķāļāđāļāļ·āđāļāļāđāļāļāļ·āđāļāđāļ āļŦāļĢāļ·āļāļĒāļāđāļĨāļīāļāļāļēāļĢ āļāļēāļĒāļāļĢāļąāļāļĒāđāļŠāļīāļāđāļāđāđāļāļĒāđāļĄāđāļāđāļāļāđāļāđāļāđāļŦāđāļāļđāđāļŠāļāđāļāđāļŠāļāļāļāļ·āđāļāļāļĢāļēāļāļĨāđāļ§āļāļŦāļāđāļē
https://www.google.com/maps/search/?api=1&query=14.388103,99.83146