


+2#ที่ดิน ติดถนน มีโฉนด พร้อมโอน🔥
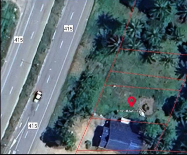
🚩เจ้าของบอกขายเอง 🚗 ที่ดินติดถนนใหญ่ ทางหลวงแผ่นดิน สาย 415 พื้นที่ 3 ห้องขนาด 1 งาน 12 ตารางวา ทำเลดี ค้าขายสะดวกแหล่งชุมชน ใกล้สถานที่ราชการ และโรงเรียนใกล้ตลาด
โฉนดครุฑแดงพร้อมโอน
ต.เขาต่อ อ.ปลายพระยา จังหวัดกระบี่
#กระบี่ #ที่ดินกระบี่ #ขายที่ดิน #ลงทุน #ที่ดินราคาถูก
🌈 ค่าโอนทั้งหมด/2
_____________________________
สอบถามรายละเอียดเพิ่มเติม 👇
𝗖𝗼𝗻𝘁𝗮𝗰𝘁
📱 กดเพื่อดูเบอร์โทร xxxxxx624 (พี่กิ๊บ💕🌹)
𝗟𝗶𝗻𝗲 𝗜𝗗 : กดเพื่อดูเบอร์โทร xxxxxx262 4
💰 เพียง 2,500,000 บาท 🔥