


+8āļĢāļŦāļąāļŠāļāļĢāļąāļāļĒāđ ïž DECCSSH0100001
āļŠāļāļāļāļēāļĄāļāđāļāļĄāļđāļĨāđāļāļīāđāļĄāđāļāļīāļĄ āļāļąāļāļāļđāļāļĢāļąāļāļĒāđ >> ðāļāļīāđāļāļāļ·āđāļ āđāļāļāļĢāđāļāļīāļāļāđāļ āđāļāđāļāļ āđāļŦāđāđāļāđāļēāļŦāļāđāļēāļāļĩāđāļāļēāļĒāļāļīāļāļāđāļāļāļĨāļąāļāđāļāđāđāļĨāļĒāļāđāļ°ð (āļāļĢāļīāļĐāļąāļāđāļāļīāļāđāļŦāđāļāļĢāļīāļāļēāļĢāļāļīāļāļāđāļ āļ§āļąāļāļāļąāļāļāļĢāđ-āļĻāļļāļāļĢāđ āđāļ§āļĨāļē 9.00-17.00 āļĒāļāđāļ§āđāļāļ§āļąāļāļŦāļĒāļļāļāļāļąāļāļāļąāļāļĪāļāļĐāđ)
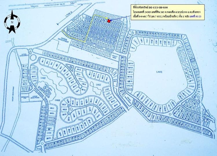
āļāđāļēāļāđāļāļĩāđāļĒāļ§ āļāļĢāđāļāļĄāļŠāļīāđāļāļāļĨāļđāļāļŠāļĢāđāļēāļāļāđāļēāļāđāļāļĩāđāļĒāļ§ (āļāļķāļ) 2 āļāļąāđāļ 1 āļŦāļĨāļąāļ āļāļāļēāļ 8 x 7 āļāļ·āđāļāļāļĩāđāđāļāđāļŠāļāļĒāļāļĢāļ°āļĄāļēāļ 150 āļāļĢāļĄ. āļāļąāđāļāļāļīāļāļāļāļ āļāļŠāļĨ. āđāļāđāļāļĢāļāļāļēāļĢāļŦāļĄāļđāđāļāđāļēāļāļ§āļīāļāļīāļāļĢāļēāļāļēāļāļĩ āļŠāļēāļāļēāļĢāļāļđāļāđāļ āļāļāļĢāđāļāļĄ āļāļĄāļāļēāļāļĄāļŠāļ°āļāļ§āļ āļŦāđāļēāļāļāļēāļāļāļēāļāļŦāļĨāļ§āļāļŦāļĄāļēāļĒāđāļĨāļ 34 āļŠāļēāļĒāļāļēāļāļāļē-āļāļĢāļēāļ (āļāļāļāļāļđāļĢāļāļēāļ§āļīāļāļĩ) āļāļĢāļ°āļĄāļēāļ 2.3 āļāļĄ.
āļāļĢāļīāļĐāļąāļāļāļāļŠāļāļ§āļāļŠāļīāļāļāļīāđāđāļāļāļēāļĢāđāļāļĨāļĩāđāļĒāļāđāļāļĨāļāļĢāļēāļĒāļĨāļ°āđāļāļĩāļĒāļāļāļĢāļąāļāļĒāđāļŠāļīāļ āļĢāļēāļāļēāļāļąāđāļāļāļēāļĒ āļĢāļ§āļĄāļāļķāļāđāļāļ·āđāļāļāđāļāļāļ·āđāļāđāļ āļŦāļĢāļ·āļāļĒāļāđāļĨāļīāļāļāļēāļĢ āļāļēāļĒāļāļĢāļąāļāļĒāđāļŠāļīāļāđāļāđāđāļāļĒāđāļĄāđāļāđāļāļāđāļāđāļāđāļŦāđāļāļđāđāļŠāļāđāļāđāļŠāļāļāļāļ·āđāļāļāļĢāļēāļāļĨāđāļ§āļāļŦāļāđāļē
https://www.google.com/maps/search/?api=1&query=13.557848,100.91796