English translation for this page is currently unavailable. We are working on it, stay tuned!
Kaidee logo
chat
5,382,400ราคารวมมูลค่าของแถมแล้ว (ถ้ามี)

ทรัพย์ บสส. รหัส HL0538 บ้านเดี่ยว กรุงเทพมหานคร 5382400

    ขาย|มือสอง
    • เนื้อที่
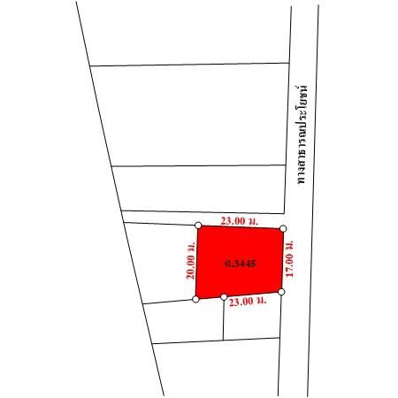
      118.4 ตารางวา
    • ห้องนอน
      0 ห้องนอน
    • ห้องน้ำ
      0 ห้องน้ำ
    รายละเอียดสินค้า

    ที่ดินเป็นรูปสี่เหลี่ยมคางหมู ตั้งอยู่ติดถนน 2 ด้าน ขนาดแปลงที่ดินด้านทิศตะวันออก กว้างประมาณ 17 ม. และด้านทิศเหนือ กว้างประมาณ 23 ม. ลึกประมาณ 23 ม.บสส. รับโอนกรรมสิทธิ์สิ่งปลูกสร้างระบุเป็นบ้านพักอาศัยตึกสองชั้น เลขที่ 51/16 และโรงเก็บของถนนผ่านหน้าทรัพย์สิน ได้แก่ ซอยพหลโยธิน 54/1 แยก 4-26 เป็นทางสาธารณประโยชนฺ์ ผิวจราจรคอนกรีต กว้างประมาณ 5 ม. เขตทางกว้างประมาณ 6 ม.

    อ่านเพิ่มเติม
    • อัพเดทล่าสุด07 ธ.ค. 2568 22:41 น.
    • ตำแหน่งสายไหม กรุงเทพมหานคร
    • หมายเลขประกาศ371043519
    หมายเลขสมาชิก14254684
    เป็นสมาชิกมาแล้ว2 ปี 6 เดือน 26 วัน
    ยืนยันบัญชีผ่าน
    กรุณาอย่าโอนเงินไม่ว่ากรณีใดๆ
    หากต้องการโอนเงินหรือมัดจำล่วงหน้า
    ตรวจสอบบัญชีคนโกง ที่นี่

    เกี่ยวกับ kaidee

    ศูนย์ช่วยเหลือ

    บริษัทในเครือ

    ติดต่อเรา

    เลขที่ 554/117 อาคารสกายไนน์ เซ็นเตอร์ ชั้น 22 ถนนอโศก-ดินแดง แขวงดินแดง เขตดินแดงบริษัท เคดี มาร์เก็ตเพลส จำกัด (สำนักงานใหญ่)กรุงเทพมหานคร 10400

    ติดตามเรา

    Link to FacebookLink to TwitterLink to InstagramLink to Youtubeline-icon

    เพื่อประสบการณ์ใช้งานที่ดีขึ้น

    Link to AppStoreLink to Google Play Store
    © 2568 บริษัท เคดี มาร์เก็ตเพลส จำกัด